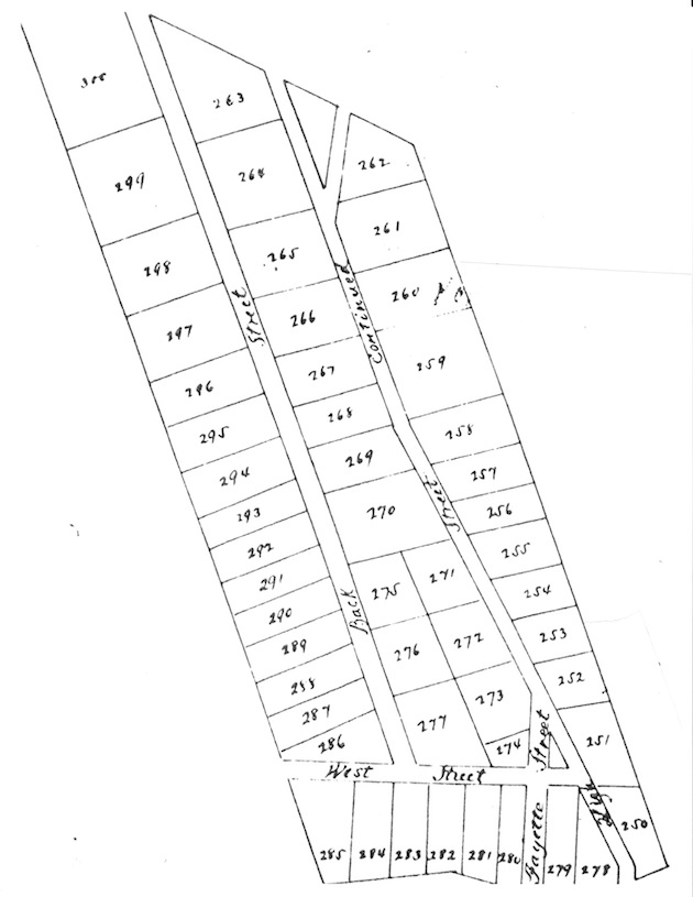
Back Street
West Street
Madison Street
Wilberforce Street
German Street
Congo Lane
Angola Lane
Lots 250-300, Beatty and Hawkins’ Addition to Georgetown:
In 1770 Georgetown was enlarged by the sale of two hundred acres out of George Gordon’s Knave’s Disappointment, laid out in three hundred lots, and known as Beatty and Hawkins’ Addition to Georgetown. The fifty lots that lie between the Safeway and the Russian Embassy, and west to Huidekoper Place constituted the northern extension of the corporation of Georgetown.
(Frederick County Land Records, Liber N, f.234-6, Indenture made July 7, 1770, recorded July 20, 1770. The transactions are recited in DC Libers B2 (1795) f.393, and K10 (1798) ff.1-59 (new ff.8-28): Archival boxes, Peabody Room, Georgetown Branch Library)
Back Street
Back Street in 1861; the photographer may have been standing in what is now the 3800 block of Calvert Street, looking south. The cemetery is at the upper left, separated from Back Street by a sunlit fence.
Behind the Beatty and Hawkins lots on the west side of Wisconsin Avenue was Back Street. The name is self-explanatory, and not unique; it is also the earliest name for Q Street in Georgetown.
The northern end of Back Street was at the bend in Tunlaw Road above Davis Place. At its southern end Back Street intersected with what is now Whitehaven Parkway. To the north and east of the latter intersection was Trinity Church Upper Grave Yard, which, during the first two decades of its existence––before it was enlarged, and renamed Holy Rood––fronted on Back Street, and had its entrance there.
Although Back Street ran in a straight line, there were certain irregularities. On what is now Tunlaw Road, near the intersection of W Place, there used to be a house in the middle of the street, one of several that were permitted in the bed of Back Street. “Thomas Blackman is allowed to erect a frame house on Back Street, provided he remove it when asked, and leave the street as before.” (Georgetown Courier, January 14, 1871; Georgetown Ordinances, September 28, 1866)
A succession of German immigrants lived along this part of Back Street. In the 1880 census there was William Voigt, a truck gardener, who moved to Tenleytown in 1888; and Frederick Luki, a tanner, and his son Andrew Lukei, blacksmith and truck gardener. In the 1840s there was a tanner named Conrad Schörge, who later farmed on Conduit Road, where a street is named after him: Sherier Place.
Along the upper end of Back Street the main landowners were butchers Henry Kengla and Charles Homiller.
Madison Street
Whitehaven Parkway, west of Wisconsin Avenue, has its origins in West Street, part of Beatty and Hawkins’ Addition to Georgetown (1770); in 1818 it was changed to Madison Street. (Georgetown Ordinances, April 18, 1818; Intelligencer, April 28, 1818)
As this neighborhood was one of the sources of earth for the street-grading projects of Alexander Shepherd, the original contours of the hill on the north side of Madison Street have been lost. ”It is wondered whether the Board of Public Works will cart off the remainder of the hill south of [Holy Rood Cemetery].” (Georgetown Courier, May 18, 1872)
One or two tenements were built after the hill was removed, and the censuses and directories of the period 1870-1880 show a variety of butchers, masons, and tanners lived there with their families.
“Frizzell’s Hill” was probably not a genteel address. In 1898 the police raided a house “in the rear of the cemetery”, on the north side of Madison, and arrested eight men, thought to be a gang, for disorderly conduct, specifically a beer party that that attracted attention for its noisiness. New arrivals to the party used three raps and a password––“C.O.D.”––to gain admission. Warnings to “pipe down” had been ignored. Among those arrested was Charles Frizzell, who lived there. (“Affairs in Georgetown,” Evening Star, March 28, 1898)
Between 1895 and 1925 Madison Street went, for various lengths of time, as Y Street, V Street, U Street. In 1925 the houses north of Madison Street were condemned, and the street was extended to 37th Street (and lost its connection to Tunlaw Road). Its new name, Whitehaven Parkway––and the fact that it has another section between Foxhall Road and MacArthur Boulevard––tells us that it was to have extended to the old land tract called Whitehaven, in what is now Palisades.
Wilberforce Street
In lots 251-254 of Beatty and Hawkins’ Addition to Georgetown was the gathering of houses once known as the Village––or Town––of Wilberforce. (Although deeds speak of Wilberforce as a subdivision of Georgetown, it does not appear to have been recorded as such by the DC Surveyor.)
Wilberforce Street intersected Wisconsin Avenue across from the entrance of Holy Rood Cemetery. In 1837 Murray Barker protested “the shutting up of Wilberforce Street”(Georgetown Ordinances, October 27, 1837).
Long-forgotten as a public street, it took on the character of a lane, and more recently, of an unpaved driveway between the Weaver houses at 2101 and 2117 Wisconsin Avenue. In 1941, Catherine L. Weaver, and Maurice E. Weaver, heirs of Robert D. Weaver, of 2101 Wisconsin Avenue, sued the unknown heirs of the Reverend Stephen B. Balch, and numerous others, to “obtain a final decree declaring complete in fee simple by adverse possession the title” of the heirs, and to “remove clouds caused by the record to the title of said plaintiffs”; the plaintiff claimed the abandonment of “so-called Wilberforce Street“. (“Legal Notices”, Washington Post, December 11, 1941, p.33)
As late as 1956, Mrs. J.H. Holland, the great great granddaughter of Michael Weaver, could still point out a building––now used as a shed––that had been his house on Wilberforce Street in 1820. (Star, November 16, 1956, p.A23)
German Street
German Street was across from––and slightly south of––W Place. Whether it was named because of the Germans that lived there, or to attract them to buy there, is unclear.
Congo Lane, Angola Lane
While Congo Lane can still be seen on the Hopkins Map of 1893, and on Baist, 1903, Angola Lane can only be found mentioned in deeds. Taken in conjunction with the name of the abolitionist Wilberforce, their names presumably refer to the African sources of the slave trade.
In 1941, Catherine L. Weaver, and Maurice E. Weaver, heirs of Robert D. Weaver, of 2101 Wisconsin Avenue, sued the unknown heirs of the Reverend Stephen B. Balch, and numerous others, to “obtain a final decree declaring complete in fee simple by adverse possession the title” of the heirs, and to “remove clouds caused by the record to the title of said plaintiffs”. The plaintiff claimed the abandonment of “so much of Congo Lane as is involved in this suit as streets, alleys, highways or thoroughfares“. (“Legal Notices”, Washington Post, December 11, 1941, p.33)
___________________________________________________________
Carlton Fletcher
The citation and acknowledgement of my research is greatly appreciated.
All rights reserved.
Questions and corrections may be directed to
The support of the Advisory Neighborhood Council (3B) is gratefully acknowledged.

